世語圖說
2025年11月05日
登陸網站
聯繫我們
運動
情感
奇趣
新聞
新聞
生肖
健康
娛樂
百科
美食
命理
家庭
美妝
裝修
旅遊
奢侈
語錄
汽車
育兒
軍事
【泰校巴起火23死】年輕女老師緊抱學童 保護學生至生命最後一刻
喬峰傳 • 390次觀看
快訊/明再放颱風假?最新風雨預測「台北達標」 18縣市「符合停班停課標準」
呂純弘 • 690次觀看
快訊/山陀兒颱風北上了!「挑戰中央山脈」估崩潰消散 灌致災雨彈
呂純弘 • 150次觀看
快訊/明再放颱風假?最新風雨預測「台北達標」 18縣市「符合停班停課標準」
呂純弘 • 1K次觀看
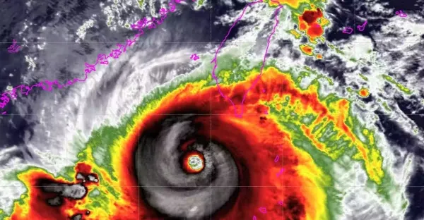
好消息❗山陀兒颱風因「兩大因素」減弱,或以輕度颱風登陸
呂純弘 • 140次觀看
快訊/山陀兒大迴轉「明掃全台」4縣市風雨最劇
呂純弘 • 200次觀看
快訊/明天放不放颱風假?北北基宣布了
呂純弘 • 2K次觀看
泰學巴失火
晑騫翀 • 120次觀看
不斷更新/颱風山陀兒「10月2日」全台停班課資訊一次看
呂純弘 • 360次觀看
快訊/10/2颱風假放定了?7縣市宣布「明天停班停課」!
呂純弘 • 610次觀看
摩哆失控撞路旁電箱 華裔送餐員當場身亡
喬峰傳 • 3K次觀看
快訊/新北駕駛拒查「拖警撞護欄」 警所長「當場沒有生命跡象」殉職 肇事者「逃離現場」
呂純弘 • 230次觀看
快訊/10/2颱風假放定了?明天「8縣市停班停課」風雨預測達標!
呂純弘 • 3K次觀看
強台山陀兒/明天颱風假穩了?「這19縣市」暴風圈侵襲率飆破90%
呂純弘 • 880次觀看
最新/北北基桃宣布了! 全台各地「10/1停班課」出爐
呂純弘 • 7K次觀看
強度直逼強台!山陀兒「巔峰狀態直撲台灣」...明天「五縣市恐放颱風假」
呂純弘 • 1K次觀看
天氣/山陀兒「9縣市停班停課」有望!恐3天颱風假,專家:直逼強台了
呂純弘 • 460次觀看
苗栗男為了拿手機「18小時後成冰冷遺體」!妻小悲痛認屍「原本可以活下來的」
呂純弘 • 500次觀看
最新/山陀兒轉中台!22鄉鎮市區列「淹水警戒」,4縣市停班課
呂純弘 • 2K次觀看
快訊/爆炸聲不斷!台南永康五金賣場陷火海,員工急逃命
呂純弘 • 440次觀看
全台恐放颱風假!山陀兒颱風威脅大增「暴風圈狂掃全台」 海陸警齊發「時間點出爐」
呂純弘 • 2K次觀看
羅里連撞5車 女司機夾斃車內
符葉婭 • 210次觀看
山西2歲女童失蹤44天後陳屍崖底 母悲:心痛得無法呼吸
喬峰傳 • 330次觀看
載泥羅厘剎車器失靈 連撞4車 婦女小孩喪命
喬峰傳 • 1K次觀看
«
Previous
39
40
41
42
43
44
45
46
47
48
»
Next