快訊/「新北等5縣市」今達停班課標準!最新風雨預測出爐

2025-09-23     呂純弘     反饋
1/3
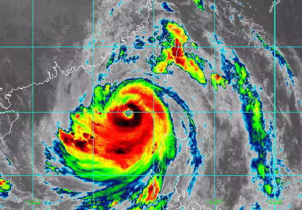
根據《ETtoday新聞雲》報導,中央氣象署今晨發布最新颱風動態,強烈颱風樺加沙逐漸遠離台灣,預計今日上午8時30分解除陸上警報。

不過目前仍有多個地區受到強風豪雨影響,部分縣市宣布停班停課。
1/3
下一頁
呂純弘 • 157K次觀看
呂純弘 • 257K次觀看
呂純弘 • 11K次觀看
呂純弘 • 51K次觀看
呂純弘 • 9K次觀看
花峰婉 • 7K次觀看
呂純弘 • 13K次觀看
舒黛葉 • 23K次觀看
呂純弘 • 9K次觀看
呂純弘 • 41K次觀看
呂純弘 • 14K次觀看
呂純弘 • 12K次觀看
呂純弘 • 5K次觀看
呂純弘 • 7K次觀看
奚芝厚 • 9K次觀看
呂純弘 • 20K次觀看
舒黛葉 • 4K次觀看
喬峰傳 • 6K次觀看
舒黛葉 • 8K次觀看
呂純弘 • 43K次觀看
呂純弘 • 12K次觀看
呂純弘 • 5K次觀看
呂純弘 • 8K次觀看
呂純弘 • 42K次觀看